Posted inUncategorized
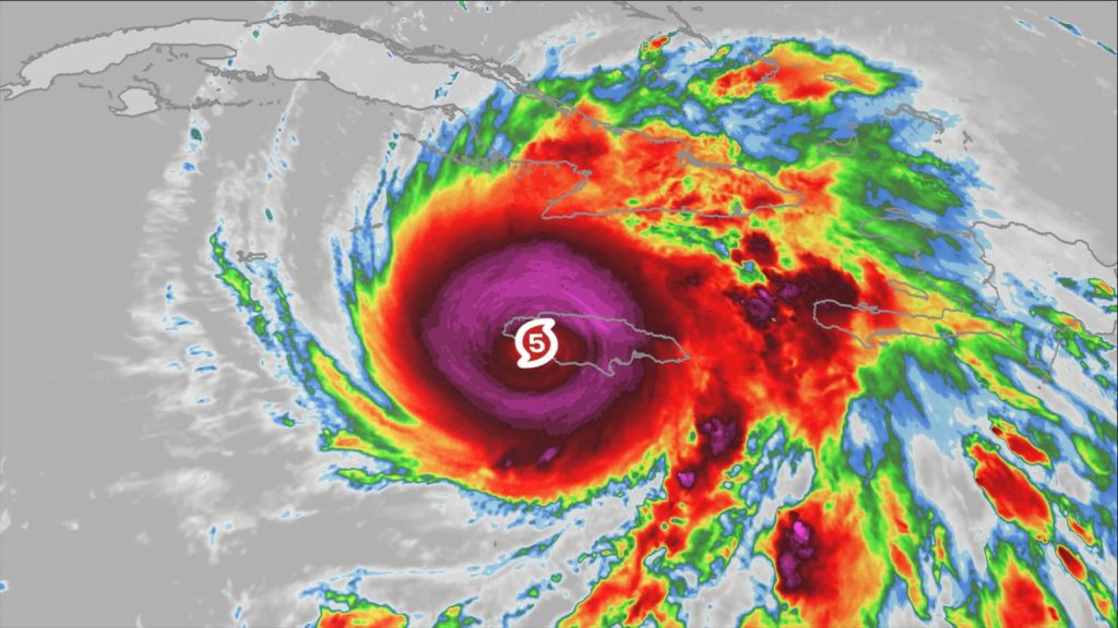
πͺοΈ BREAKING NEWS: Hurricane MELISSA Now a Category 5 MONSTER!
π U.S. East Coast & Gulf on High Alert A massive storm named Hurricane Melissa has rapidly intensified into a Category 5 hurricane β the strongest level possible π±.Forecasters at…









